2016年4月28日
〈湾内釣果〉
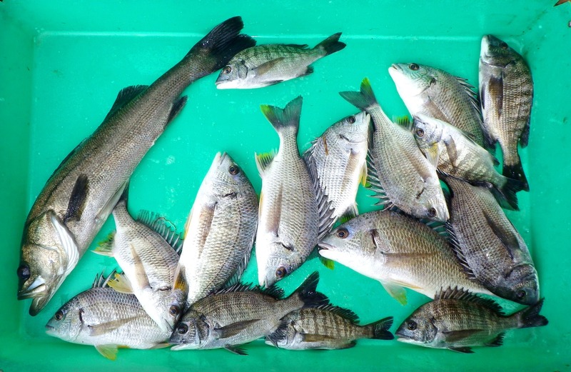
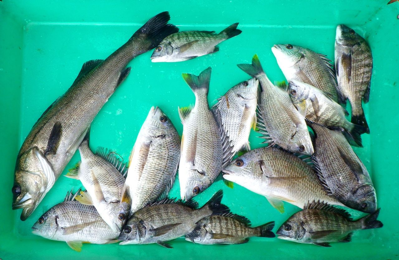
S本さん1人、浦ノ内湾奥で青虫を餌にハイカラ釣り。
数釣りを楽しんで手のひらサイズに足らないの小チヌと写真のスズキはリリースして帰っていきました。
今日は連休前ということで海上保安庁がお店訪問。
安全上の注意と一緒にマリンセーフティガイドやシール、ティッシュなどをたくさん置いて帰りました。

シールの需要はないとないかと思いますが、マリンセーフティガイドが欲しいという方が居ましたらお声かけください。

シールの需要はないとないかと思いますが、マリンセーフティガイドが欲しいという方が居ましたらお声かけください。
船長さんは事故がないよう安全運転で連休を楽しみましょう♪
そして、今日はもう一つパンフレットが届きました。
宇佐もん工房の方が持って来てくれた「うるめMAP」
各店舗で1000円以上食事するともらえるシールを集めると料金割引特典や、うるめのマスコットキャラクター「うるえもん」のグッズなどがもらえるようです!
配布分もあるので欲しい方はお声かけください。
4/28の夕方時点の連休中の予約状況です。
- 4/29(金) △ほぼいっぱい
- 4/30(土) ◎空きアリ
- 5/1(日) △ほぼいっぱい
- 5/2(月) ◎空きアリ
- 5/3(火) 〇空きアリ(9人乗り以外)
- 5/4(水) 〇空きアリ(9人乗り以外)
- 5/5(木) ◎空きアリ
- 5/6(金) ◎空きアリ
- 5/7(土) ◎空きアリ
- 5/8(日) ◎空きアリ
***********





