



2018年4月28日
待ちに待った大型連休!
今日から世間は大型連休に突入!
家族や友人たちと船に乗って釣りを楽しむ人たちで宇佐の海は賑わっていました。
お魚さんたちもそれに応えてくれるかのように好釣果を上げた組もたくさんいて、苦戦する組もいましたが、穏やかな天気のおかげで幸先の良い連休のスタートとなってくれました(*^-^*)
沖の釣果
Hさん2人組、53cmを筆頭にマダイ9匹、サバ2匹、オオモンハタ2匹、クエ、ベラなど。

サバは40cmほどの良いサイズでした。
お腹を開くと、サバの胃の中からなんとサバ子が2匹登場!

サバって共食いするんですね~!
サバ釣って、サバの切り身でサバ釣りとかも有りだそうです。
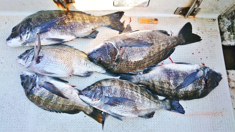
H川さん3人組、50cm弱のノッコミ黒鯛を筆頭に、チヌ2匹、ヒョウゴ、サバ2匹、カワハギ2匹、マダイ2匹、ギンフグ、ホウボウ、キスなど。

S元さん1人、ノッコミ黒鯛2匹、マダイ2匹、チダイ2匹、ギンフグ2匹、ガシラなど。

N村さん3人組、テンヤ釣りをしていて50cmほどのヒラメを釣っていました。

地元の舟、午後から2時間ほどの短時間の釣りで良型チヌを6匹釣って来ていました。

湾内釣果
T原さん2人組、イカリを打ってのぶっこみ釣りでキビレチヌ10匹、マダイ5匹、ヒョウゴ、イシモチ、キスなど。
エサは活きエビとマムシを持って行き、マムシの食いが良かったそうです。

船の上でキビレを開いて干物を作っていました。
干物にするにはちょっと大きすぎる30cmサイズの豪快な沖干しです。

キスは場所や時間帯によって食い気が大きく左右されるようで、最近は込潮の時間帯が良いようです。
キス釣りの外道でマダイ、チヌ、ガシラ、イシモチ、ホウボウ、アマギ、ニロギなども釣れています。



大潮の昼間は特に浅瀬に注意
明日からは大潮で昼間の干潮時には潮がかなり引くので、出船前には浅瀬が出現する場所をしっかりと確認して頂くようお願いします。


当日も空きがあれば出船可能ですが、来る前に一度お電話を
GW中の舟はまだ十分に余裕がありますが、広めの舟から埋まっているので、沖の組、湾内で3人以上で予定している組は早めの予約・問い合わせをお願いします。
また、当日でも空きがあれば出船可能です。
来店前にお電話頂けると出船までの流れがスムーズに行けますので、事前のご連絡よろしくお願いします。



Enjoy boat fishing
~大人がこどもに戻れる時間~
蒼い空の下で土佐の海を縦横無尽に駆け巡り
まだ見ぬ大物があなたを待っています
竹村貸舟店 【高知 浦ノ内湾~宇佐~横波半島沖の船釣り】
TEL: 088-856-0043
公式ページ: http://boat-fishing.kochi.jp/
Facebookページ: https://www.facebook.com/takemurakashifuneten
Twitter: https://twitter.com/takemura_boat
Instagram:https://www.instagram.com/takemurakashifuneten/
高知県下最大級のレンタルボート所有数!
釣船、団体、イベント等の相談も承ります。
活きエビ!釣り用各種仕掛け!貸し竿あります!
予約の際は、『お名前、人数、出船時間、行先(湾内、沖)、エサがどれくらい必要か』などをお知らせください。
『手ぶらで来ても楽しめる船釣り』を体験してみたいという方は電話(088-856-0043)、Facebook、LINE等でお気軽にお問い合わせください。予約・問い合わせはLINEからも受け付け中!